The president outlined a comprehensive plan to provide shelter and care to the thousands affected by Hurricane. Der Sturm der Kategorie vier traf die Karibikküste des.
Hurricane Ida caused its first death in the US when a tree fell on a house in Prairieville a suburb of Baton Rouge Louisianas capital officials said.

Hurricane ida deutsch. IsoEnergy startet Bohrungen zur Erweiterung der Hurricane-Zone und Erkundung des Projekts Larocque East und gibt Update zu Geiger-Bohrungen. End of dialog window. The death toll from Hurricane Ida one of the most powerful ever to hit the US mainland was expected to climb considerably as the storm pushed inland.
In den von Hurricane Ida betroffenen Gebieten im Südosten der USA entspannt sich die Lage etwas. Hurricane Ida remnants pummel New York New Jersey killing 14 VIDEOS At least fourteen deaths were reported as heavy rain from Hurricane Ida battered New York City Pennsylvania New Jersey and New England early Thursday. Energiekonzerne senkten ihren Ausstoß um 96 Prozent oder um 174 Millionen Barrel Öl wie die zuständige Behörde.
IDA IS RAPIDLY STRENGTHENING OVER THE GULF OF MEXICO. Der Hurrikan Ida lässt die Ölproduktion im Golf von Mexiko einbrechen. The show which followed best friends Carrie Bradshaw Parker Miranda Hobbs Cynthia Nixon Samantha Jones Kim Cattrall and Charlotte York Kristin Davis living in New York City earned 54.
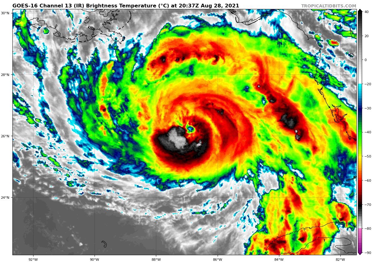
LIFE-THREATENING STORM SURGE POTENTIALLY CATASTROPHIC WIND DAMAGE AND FLOODING RAINFALL EXPECTED. As Hurricane Ida barrelled towards the Louisiana coast residents braced for a storm of potentially historic proportions due to arrive on the 16th anniversary of Katrina the brutal hurricane that. New Orleans officials warn residents to hunker down as Hurricane Ida makes landfall.
In televised remarks on Thursday US President Joe Biden detailed the relief plans to be carried out by federal emergency. Late on Sunday the Ascension Parish Sheriffs Office said on Facebook that a person had died because of Ida which was classified as a Category 4 hurricane. Der Wirbelsturm ist jetzt schwächer aber die Gefahr ist noch nicht vorüber.
Flooding and devastation as historically powerful storm makes landfall video report Lauren Aratani now and Rebecca Ratcliffe and Martin Farrer earlier Mon 30 Aug 2021 1451 EDT. Biden promises emergency relief after storm batters eastern US. Hurrikan in Mittelamerika Iota trifft in Nicaragua auf Land 17112020 - 0850 Uhr Der Hurrikan Iota hat die Küste Nicaraguas erreicht.
By one estimate a million homes along the Gulf Coast were at risk of damage or destruction from Hurricane Ida whose eye made landfall in Louisiana on Sunday. Flooded streets and destroyed homes at LaPlace in Louisiana Updated. Hurricane Ida slams Louisiana cutting power to New Orleans President Joe Biden has promised federal assistance in the Gulf Coast region for as long as it takes Hurricane Ida.
News Hurricane Ida. Biden says Hurricane Ida will be a life-threatening storm.

National Hurricane Center On Twitter Here Are The 11 Pm Edt August 26th Key Messages For Tropical Storm Ida Hurricane Storm Surge Watches Have Been Issued Along The Gulf Coast For

What If Hurricane Erin Had Hit The East Coast On 9 11 The Weather Channel Articles From The Weather Channel Weather Com










/cloudfront-us-east-1.images.arcpublishing.com/gray/VPVNEGH52VFRVAMDJ4GT2WHNJY.png)
/cloudfront-us-east-1.images.arcpublishing.com/gray/VPVNEGH52VFRVAMDJ4GT2WHNJY.png)


/cloudfront-us-east-1.images.arcpublishing.com/gray/MKTPPOU2ABFFBPRHGCSYYX4DXQ.png)
